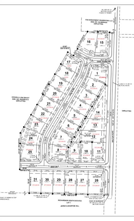
Lot 10 Mike Drive, Bates City, MO 64011

Mortgage Calculator

$73,500
 est. $302/mo

Welcome to Campbell Heritage Farms – Phase 1! Your dream of country living starts here! Nestled in the heart of Lafayette County, this charming new community offers the perfect blend of peaceful rural surroundings and convenient access to town. Located within the Odessa School District, you’ll love the easy drive to Bates City BBQ, as well as shopping, dining, and everyday amenities in Oak Grove and Odessa. Each homesite provides the ideal canvas to build your dream home in a welcoming neighborhood that captures the best of small-town charm and modern comfort. Come experience the warmth, space, and simplicity of life at Campbell Heritage Farms!

Directions
I-70 to Bates City Exit. South on MO Z to West Golden Belt. West on West Golden Belt to Walton Road to Campbell Heritage Farms on right.
Subdivision
Other
City
Bates City
County
Lafayette
Property Type
Land / Unimproved Land
Listing Updated
Nov 14, 2025 at 9:11am
MLS Number
2587749
Property Tax
$309
Home Owners Association
Yes
Disclaimer
The information displayed on this page is confidential, proprietary, and copyrighted information of Heartland Multiple Listing Service, Inc. (“Heartland MLS”). Copyright 2025, Heartland Multiple Listing Service, Inc. Heartland MLS, Elite Realty and Agent Jo do not make any warranty or representation concerning the timeliness or accuracy of the information displayed herein. In consideration for the receipt of the information on this page, the recipient agrees to use the information solely for the private non-commercial purpose of identifying a property in which the recipient has a good faith interest in acquiring.
The data relating to real estate displayed on this website comes in part from the Heartland Multiple Listing Service database compilation. The properties displayed on this website may not be all of the properties in the Heartland MLS database compilation, or all of the properties listed with other brokers participating in the Heartland MLS IDX program. Detailed information about the properties displayed on this website includes the name of the listing company.
Information is deemed reliable but is not guaranteed.

Copyright © 2025 ELITE Realty.